Jump to content

Hurricane Patricia Cat5+

Featured Replies

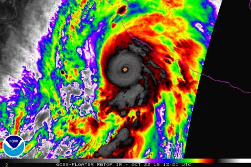
Hurricane Patricia is heading towards Mexico with wind speeds over 200 mph and a central pressure of 880 mb. This is one of the most powerful hurricanes recorded.

 

Does anyone know how low a pressure can possibly go and why?


Data for Hurricane Patricia


Hurricane Wilma had the lowest pressure in the Atlantic at 882 mb and Typhoon Tip in the Pacific at 870 mb.

Hurricane Patricia is doing her best to break all the records and is now predicted to hit at cat5 status!!!

Here is the visible shot.

post-114109-0-95296500-1445607044_thumb.jpg

post-114109-0-31947800-1445608261_thumb.jpg

post-114109-0-47323300-1445609534_thumb.jpg

Archived

This topic is now archived and is closed to further replies.

Important Information

We have placed cookies on your device to help make this website better. You can adjust your cookie settings, otherwise we'll assume you're okay to continue.

Configure browser push notifications

Chrome (Android)
  1. Tap the lock icon next to the address bar.
  2. Tap Permissions → Notifications.
  3. Adjust your preference.
Chrome (Desktop)
  1. Click the padlock icon in the address bar.
  2. Select Site settings.
  3. Find Notifications and adjust your preference.